Tokoa Ora on tehnyt jonkin verran, viimeksi lauantaina se juoksi muutamia kertoja ruutuun oikein onnistuneesti Koirakoulu Kompassin tiloissa, jotka oltiin vuokrattu pitkän linjan mudistin yllätyssynttäreitä varten. Ohjattuja tokoja Oralla ei tällä hetkellä ole, kun syksyn VOI-kurssi loppui tammikuun puolivälissä. Rally-tokoissa ollaan nyt muutama kerta käyty uudessa, tuomarin vetämässä ryhmässä kouluttajille, ja viimeksi tehtiinkin ratatreeninä yli 95 pisteen rata! Eli sunnuntain kisoja ajatellen kaikki on mahdollista! Koiratanssiin olen kehitellyt nyt sekä freestyle- että HTM-ohjelmaa, katsoo jos vaikkapa olisi valmista toukokuun kisoihin... Paimennuksen suhteen suunnitelmat näyttävät kerrankin vihreää valoa - suunnitteilla on kesäkaudelle paimennustreenejä joka viikolle!
Videolla ensimmäinen kisavideo minkä nyt löysin - olen yrittänyt kadottaa paineita meidän kisoista sillä, etten pyydä ketään kuvaamaan, ja siksi läheskään kaikista kisoista ei ole enää videoita. Ja siksi tässä postauksessa oleva kisavideo ei ole ollenkaan sitä parhaimmistoa, mutta eipä tämän blogin tarkoituskaan ole näyttää vain onnistumisia.

Ren sen sijaan on loistanut kisarintamalla, joskin sen radat ovatkin olleet vähän eri tasoa verrattuna Oraan. Ollaan käyty kaksi kertaa epistelemässä supermölleissä Ojangossa, ja Ren on vienyt potit kotiin molemmilla kerroilla! Ovathan radat meille vähän turhan helppoja, mutta minkäs teet, hyvää kisatilannetreeniähän se on. Laskeskelin myös itsekseni, että vaikkei edes osallistuttaisi Tehis Cupin viimeiseen osakilpailuun maaliskuussa, on Ren voittanut myös koko medi supermöllien Tehis Cupin kahdella voitolla. Tarkoitus olisi kuitenkin osallistua viimeisiinkin cupin kisoihin.
Ren on myös treenannut agilityä hirveän pätevästi. Edelleen hämmästelen joka kerta etenkin videoita katsoessani, kuinka nopeasti se on kasvanut ja kuinka taitava siitä onkaan tullut. Kaikki esteet ovat suurin piirtein hallussa A-estettä ja keppejä lukuun ottamatta. A:lle olen rakentanut todella laiskasti juoksukontaktia boksilla (pitäisi varmaan aktivoitua asian kanssa pikkuhiljaa), ja keppejä se on tehnyt kujalla jo niin, että merle joutuu oikeasti jo pujottelemaan ja ajattelemaan tekemisiään. Noin kolme peräkkäistä treeniä meni vielä pari viikkoa sitten siihen, että se haki tuntumaa kylkiin osuvista kepeistä ja ylipäänsä pujottelusta, joka näkyi ns. "töpöttelynä" keppien välissä - tämä meni kuitenkin itsekseen ohi ja pari treeniä ollaan tehty jo ihan hyvän näköisellä kepittelytekniikalla, eiköhän ne siitä rakennu.Tokoa Ren ei ole tehnyt juuri lainkaan varsinaisesti, mutta hieman kaiken sivussa samoin kuin rally-tokoa. Ren starttaa rallyssa sunnuntaina avoimessa luokassa ja tajusin muutama viikko sitten, ettei se osannut nousta sivulla seisomaan lainkaan. Tehotreeni on kuitenkin tuottanut todella hyvää tulosta eikä ongelmia enää moisen asian kanssa ole. Myös Renille olen kehitellyt koiratanssiin freestyle-ohjelmaa, pitää nyt katsella mitä teen sen kanssa.
Alla olevat videot: ylin viimeisimmistä epiksistä, ylempi treenivideo vuodenvaihteesta ja alempi treenivideo kahden viikon takaa.
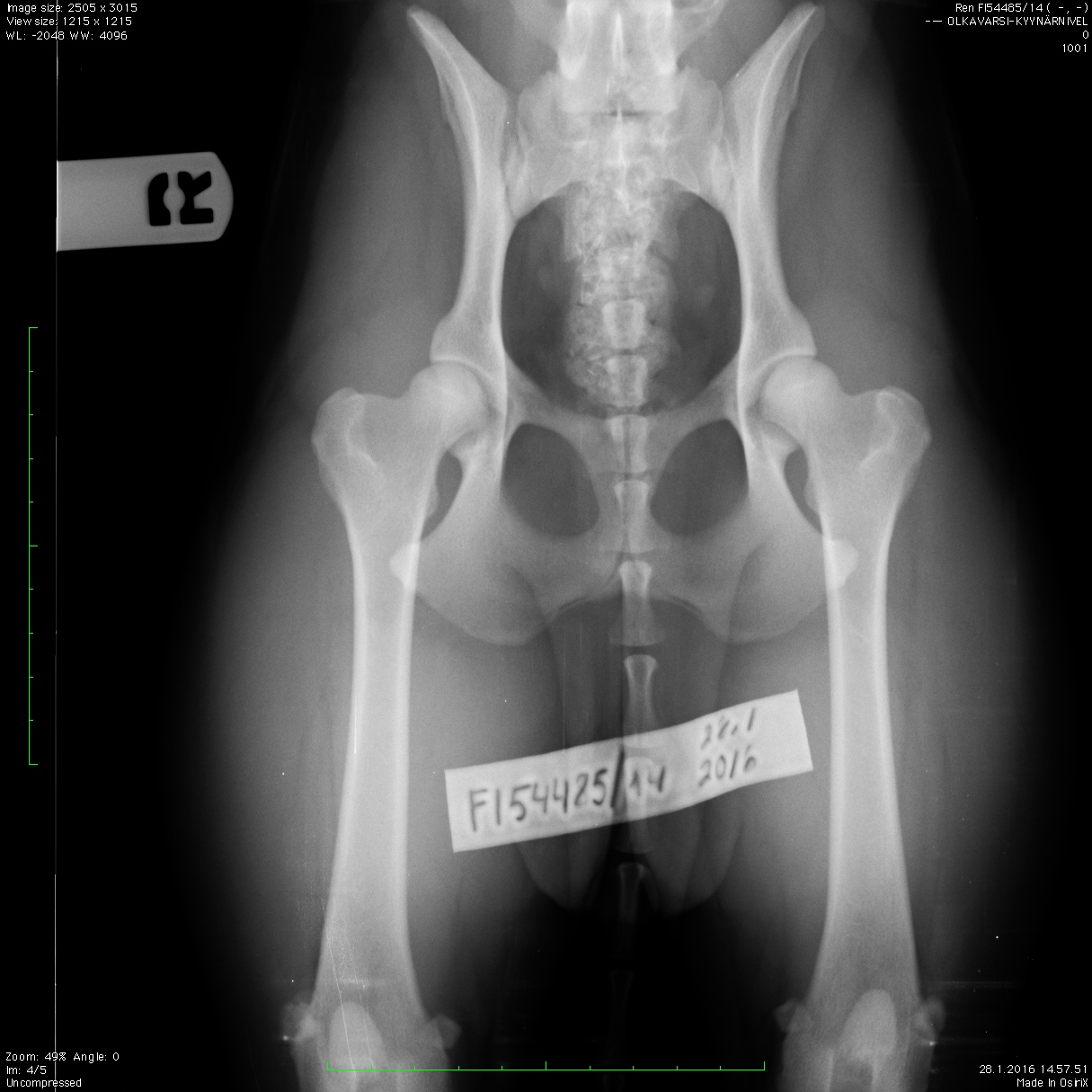
Tämän postauksen pääaihe ei kuitenkaan ole agility tai mitkään muutkaan treenit tai kisat, vaan Renin luustokuvaukset. Salla-kasvattaja oli järkännyt pienimuotoisen kimppatarkin Lahden Univetiin torstaina 28.1, jonne osallistui Renin lisäksi Flinja ja Nana -siskot. Melkoista säätöä oli kyllä asemalla - Nana, joka oli muutenkin joutunut ottamaan uuden annoksen rauhoitetta sen taisteltua niin kovasti vastaan, ehti saada jo herätteen ennen kuin muistettiin Renin jo ollessa kuvauspöydällä, että ainiin, Nanalta piti ottaa myös kuvat olista. Ren joutui myös toisen kerran tauolle, koska tilaa tarvittiin jollekin leikkauspotilaalle (tms). Lääkäriltä ei saatu arvioiksi kuin ettei kuvissa näkynyt mitään hälyttävää, mutta onneksi Kennelliiton tuomio tuli jo seuraavalla viikolla, vaikka lausuntojenkin kanssa oli säätämistä:
Lonkat: A/A
Kyynärät: 0/0
Selkä: LTV0
Polvet: 0/0
Silmät: distichiasis
Vasemmasta silmästä löytyi tosiaan yksi vaivainen ylimääräinen ripsi, joka ei haittaa mitenkään elämää eikä juurikaan rajoita jalostuskäyttöäkään. Polvien lausunto ei näy syystä X vielä Koiranetissä ja selästä puuttuu samasta syystä VA-lausunto, näitä selvitetään. Kuitenkin tärkeimmät oli siinä ja voimme siis tämän asian suhteen huokaista helpotuksesta! Seuraava etappi Renin harrastusuralla on agilityn mittaushetki, koska se kyllä häilyy niin medin ja maksin rajamailla, että siitä voi saada ihan mitä vain. Olen kuitenkin suhteellisen toiveikas mediajatuksen kanssa.| c: Tuulia Aherikko |
Kirjoittelin muuten hetki sitten Renin esittelytekstin blogin puolelle vihdoin ja viimein ajan tasalle. Myös kalenteri päivittyi. Katsotaan jos reipastuisin jopa ulkoasunkin suhteen, onhan tätä samaa katseltu jo aikapäivät.












Renin kuvissa ei ole kunnolla koko kaularankaa kuvattu joten luultavasti ette edes tule VA-lausuntoa saamaan kennelliitolta.
VastaaPoistaNäin me pelätään myös. Renin Nana-sisko oli kuitenkin saanut lausunnon. Katsotaan nyt mitä Univet ja Kennelliitto sanoo.
PoistaOnnea terveestä ei-niin-pennusta! Teidän meno on ihan huikean hyvän näköistä. Tsemppiä tuleviin kisoihin!
VastaaPoistaKiitos hurjan paljon! :) Kirjoittelen juuri uutta postausta, parit kisat takana näiden välissä.
PoistaOnnea hyvistä terveystuloksista! Minne olette menossa kesällä paimentamaan? Itsekkin tässä kesäksi jotain paimennuspaikkaa metsästelen..
VastaaPoista